Wszystko kupisz. Wszystko sprzedasz.
0
Zaloguj się
+ Dodaj ogłoszenie Dla firm

Nieruchomość z Masy Upadłości. Kraśnik. Syndyk Sprzeda.

1 / 2
Obserwuj
  • Oferta od firmy
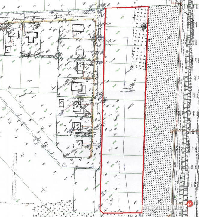
Pełnomocnik ds. Sprzedaży masy upadłości ogłasza konkurs ofert na nabycie z wolnej ręki następującej nieruchomości: prawo użytkowania wieczystego działek nr 99/31, 99/32, 99/33, 99/34, 99/35, 99/36, 99/37, 99/38, 99/39, 99/40, 99/41 (województwo lubelskie, powiat kraśnicki, jednostka ewidencyjna Kraśnik-miasto, obręb Kwiatkowice), dla którego prowadzona jest księga wieczysta nr LU1K /00086718/2. Cena wywoławcza przedmiotu konkursu ofert wynosi 435 000 zł (słownie: czterysta trzydzieści pięć tysięcy zł) brutto. Wymagane wadium w wysokości: 43 500 zł (słownie: czterdzieści trzy tysiące pięćset zł) należy wpłacić przelewem na rachunek bankowy prowadzony dla masy upadłości o numerze: 58 1160 2202 0000 0007 0042 0755 z dopiskiem "konkurs ofert – nieruchomość LU1K/00086718/2", najpóźniej do dnia 22 maja 2026 roku, przy czym liczy się faktyczny termin uznania kwoty w/w wadium na w/w rachunku bankowym. Pisemne oferty należy składać w terminie do dnia 22 maja 2026 r., poprzez przesłanie jej (w formie i treści zgodniej z regulaminem konkursu) na adres biura Pełnomocnika ds. Sprzedaży: ul. Radomska 1, 61-351 Poznań decyduje data wpływu oferty do biura a nie data jej nadania). Otwarcie i rozpoznanie ofert nastąpi w dniu 25 maja 2026 r., o godz. 10.00 w biurze Pełnomockina ds. Sprzedaży. W przypadku złożenia dwóch lub więcej ofert cenowych o takiej samej wysokości, Pełnomocnik ds. Sprzedaży przeprowadzi licytację ustną. Możliwy dostęp samodzielny w celu oględzin nieruchomości. W odpowiedzi na maila z informacją o preferowanym dniu wizyty, Pełnomocnik ds. Sprzedaży udzieli jednorazowego upoważnienia na ten dzień. Oględzin można dokonać w dowolny dzień tygodnia. Zapraszam do kontaktu jeżeli potrzebne są dodatkowe informacje oraz po operat szacunkowy, regulamin konkursu i formularz ofertowy.

Skontaktuj się

Krzysztof Białas

Dodaj załącznik
Liczba odsłon: 2
Zgłoś nadużycie
od 435 000 zł

Krzysztof Białas

FIRMA

Na Sprzedajemy.pl od Mar 2026
Kraśnik lubelskie Zobacz na mapie »

Krzysztof Białas

FIRMA

Na Sprzedajemy.pl od Mar 2026
Kraśnik lubelskie Zobacz na mapie »
Oferty firmy

Adres

Krzysztof Białas
Radomska 1
61-351 Poznań
Zobacz na mapie
tel.: 732145338
  • O nas

  • Bezpieczenstwo

  • Pomoc

  • Poradnik kupującego

  • Mapa kategorii

  • Ogłoszenia archiwalne

  • Oferta dla firm

Copyright © 2011-2026 Sprzedajemy.pl Sp. z o.o. Korzystanie z serwisu oznacza akceptację regulaminu.

Zarządzaj powiadomieniami
Odblokuj powiadomienia